Orange County

Chapel Hill gets 1st look at planned high-rise, apartments and revised church village

St. Paul’s AME Church has purchased land in the Rogers Road neighborhood north of downtown where the congregations plans to build St. Paul’s Village.
St. Paul’s AME Church has purchased land in the Rogers Road neighborhood north of downtown where the congregations plans to build St. Paul’s Village. PRESERVATION CHAPEL HILL
Listen to our daily briefing:

Chapel Hill leaders got their first look Monday at plans for a seven-story apartment building, an affordable apartment complex and a church’s revised vision for a community off Eubanks Road.

The Jay Street affordable housing plan drew the most public interest, with 16 people speaking about their concerns and the town needing more housing for people with lower incomes. Most of those who spoke opposed building several dozen apartments off Estes Drive Extension.

The Town Council also heard revised plans for Grubb Properties’ apartment building at the corner of East Rosemary and North Columbia streets in downtown and for St. Paul Community Village, which first was approved in 2012.

All three projects are still in the concept plan stage, which precedes official applications. The council reviews a sketch of what could be built and offers developers feedback.

The council does not vote on concept plans.

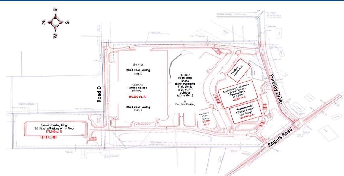
St. Paul’s AME Church representatives submitted a new site plan for a mixed-use community in the Rogers Road neighborhood north of Chapel Hill. The plan shows a new sanctuary and fellowship hall, community center, recreation and 350 apartments.
St. Paul’s AME Church representatives submitted a new site plan for a mixed-use community in the Rogers Road neighborhood north of Chapel Hill. The plan shows a new sanctuary and fellowship hall, community center, recreation and 350 apartments. St. Paul's AME Church Contributed

St. Paul Community Village

Developer: St. Paul AME Church

Location: 20.4 acres at 1604 Purefoy Drive

Current use: The church got a permit in 2012 to build a new sanctuary and fellowship hall, event space, retail, recreation facilities, and 16 affordable and 71 market-rate housing units on the vacant land. Nothing has been built yet.

Current request: The church is seeking a permit modification that would allow 350 apartments, including 100 apartments for senior residents. Buildings could be up to five stories, with lower heights along Purefoy Road. Additional retail space is planned.

Affordable housing: The church has been working with Empowerment Inc., a nonprofit housing provider. It is considering 68 apartments priced at 80% of the area median income — up to $50,900 a year for an individual and $72,700 a year for a family of four. Another 20 apartments could be priced at 60% of AMI — $36,300 for an individual and $51,840 for a family of four.

Environment: The plan could preserve and replant many trees and re-establish the natural flow of water on the site, while cleaning up flood damage from a decades-old industrial dump site. Water now covers roughly three acres.

Parking: 350 to 400 garage spaces, 150 dedicated senior spaces

Concerns: Density and how it blends in with modest neighboring homes; parking; stormwater

What they said: Council members supported the project and its inclusion of commercial and recreational spaces in the Rogers Road neighborhood. Council member Karen Stegman said that eased her concern about how dense the revised housing could be.

“Because you’re also taking this village concept of having retail, having recreation, really creating a vision for a space where people can … meet a lot of their needs right there without needing a car, (the project) is great,” she said.

Council members asked the church to consider less parking and more apartments serving lower-income people and those who use federal housing vouchers. Most local apartment complexes don’t accept vouchers.

The stormwater and wetlands restoration plan will be “a big concern,” council member Amy Ryan said. She advised early consultation with experts and the town’s stormwater advisory board, plus water management that exceeds the town’s 25-year storm requirement.

An overview illustrates how the town’s affordable housing project planned for Jay Street would look. The site is between Estes Drive Apartments, Southern Railroad tracks and Village West off Estes Drive Extension.
An overview illustrates how the town’s affordable housing project planned for Jay Street would look. The site is between Estes Drive Apartments, Southern Railroad tracks and Village West off Estes Drive Extension. Town of Chapel Hill Contributed

Jay Street Apartments

Developer: Taft-Mills Group LLC, town of Chapel Hill

Location: 7.5 acres at 66 Jay St.

Current use: Mostly wooded, zoned for residential uses. One of three town-owned sites identified in 2018 as potential locations for affordable housing, it is located near existing greenways, Village West and the Southern Railroad tracks.

Proposed use: Two, three-story buildings with 48 to 52 affordable apartments, a community building, playground and picnic shelter. The developer estimated the over $9 million project could require tax credits, as well as a $2 million to $3 million town contribution.

Affordable housing: The project would serve households at up to 60% of the area median income — $36,300 a year for an individual and $51,840 a year for a family of four.

Parking: 95 spaces proposed

Public input: Most speakers Monday had concerns, including traffic, pedestrian safety, limited transit service, building density, stormwater, parking and the environmental impact. Two submitted petitions asked the council to reject the project for those reasons, and also because voter-approved bond money for open space may have been used to buy the land in 2005.

What they said: Council members agreed the site is challenging, but public land is critical to the town’s goals for providing more affordable housing. Town staff will bring more details, including traffic study results and information about the legalities of using land purchased for other public uses, to a future meeting.

“We do need to understand the implications of these points that the community has brought up, and make sure we’re respecting the cemetery and understand that history and boundaries, and do whatever we need to protect the area,” Stegman said.

The council also should analyze traffic safety and better transit, bike and pedestrian connections, council member Hongbin Gu said.

“I realize that it’s a very challenging area,” Gu said. “It’s not enough to say we’re going to put two or three buildings out there, so that it will be available as affordable housing. ... I think we need to do it right.”

Ryan encouraged the developer to work with the site’s steep slopes and meet more stringent stormwater requirements. She and other council members suggested separate parking leases as a way to reduce the number of spaces.

The PNC Bank at the corner of East Rosemary and North Columbia streets in Chapel Hill is closed. Grubb Properties wants to demolish the building and replace it with a seven-story building offering 140 apartments.
The PNC Bank at the corner of East Rosemary and North Columbia streets in Chapel Hill is closed. Grubb Properties wants to demolish the building and replace it with a seven-story building offering 140 apartments. Google Street View Contributed

101 E. Rosemary St. apartments

Developer: Grubb Properties

Location: 0.64 acres at 101 E. Rosemary St.

Current use: The developer bought the two-story, former bank building and parking lot in May.

Proposed use: Link Apartments Rosemary could have 140 apartments and be 75 feet tall on Rosemary Street. A fitness center, bike center, clubhouse and leasing office could wrap around a courtyard on the building’s ground floor.

Affordable housing: None yet. Project officials said the studio and one-bedroom apartments would serve young professionals earning 60% to 140% of the area median income, instead of UNC students. This year’s AMI is $86,400 for a family of four in Chapel Hill.

Parking: None on site. Tenants who need parking could lease a space for 12- or 24-hour increments in the town’s new East Rosemary Street deck, scheduled to begin construction in September.

What they said: Council member Michael Parker challenged the developer’s plan to charge higher rents for smaller apartments to keep them from being student rentals.

“You’ll have a hard time getting my vote if there isn’t something more tangible that keeps students away from that building,” Parker said. “This is a building that’s going to be a block away from campus, and it is going to be a magnet.”

The building’s size, wider sidewalks and planned commercial space also were concerns. The contemporary architecture seems “very disconnected” from the older style of the nearby Town Hall and Investors Title buildings, Ryan said. Stegman offered her support for a more contemporary structure, while Parker suggested blending the two styles.

Parker also joined council member Tai Huynh in suggesting a public attraction, such as a streetfront performing arts space or a rooftop restaurant and bar.

“It would be a hugely attractive place in Chapel Hill if you could do something like that for the community,” Parker said. “I think it would then really make this building a very special place and move it from just an apartment building to a destination that people want to come to whether they live here or not.”

This story was originally published June 22, 2021 at 8:44 AM.

Tammy Grubb
The News & Observer
Tammy Grubb has written about Orange County’s politics, people and government since 2010. She is a UNC-Chapel Hill alumna and has lived and worked in the Triangle for over 30 years.
Get unlimited digital access
#ReadLocal

Try 1 month for $1

CLAIM OFFER